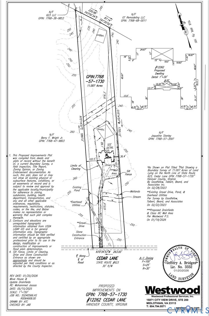
12262 Cedar LaneHanover, VA 23005




Mortgage Calculator
Monthly Payment (Est.)
$1,825Build without delay on this exceptional 11-acre homesite, thoughtfully prepared and ready for your vision. The lot has been fully cleared and comes with extensive groundwork already completed—saving you time, effort, and expense. The seller has secured a building permit plat studies, completed surveys, commissioned a professional engineering report for construction approval, and prepared septic and well drawings. For added convenience, architectural plans for a 6,000+ square foot home are available, giving you a substantial head start. Simply customize the plans, submit for county permits, and begin construction. With no covenants or restrictions, you have the freedom to build exactly what you want. Enjoy a prime location just minutes from the elementary school, shopping, and dining, with easy access to Short Pump (15 minutes) and Ashland (10 minutes). Opportunities like this—where preparation meets potential—are rare. Secure your dream lot today before it’s gone.
| 15 hours ago | Listing first seen on site | |
| 15 hours ago | Listing updated with changes from the MLS® |
Last checked 2026-02-04 02:32 AM UTC.
Did you know? You can invite friends and family to your search. They can join your search, rate and discuss listings with you.